
Perceel bouwgrond voor vrijstaande bebouwing.
Perceel bouwgrond voor vrijstaande bebouwing, gelegen binnen recent vergunde verkaveling.
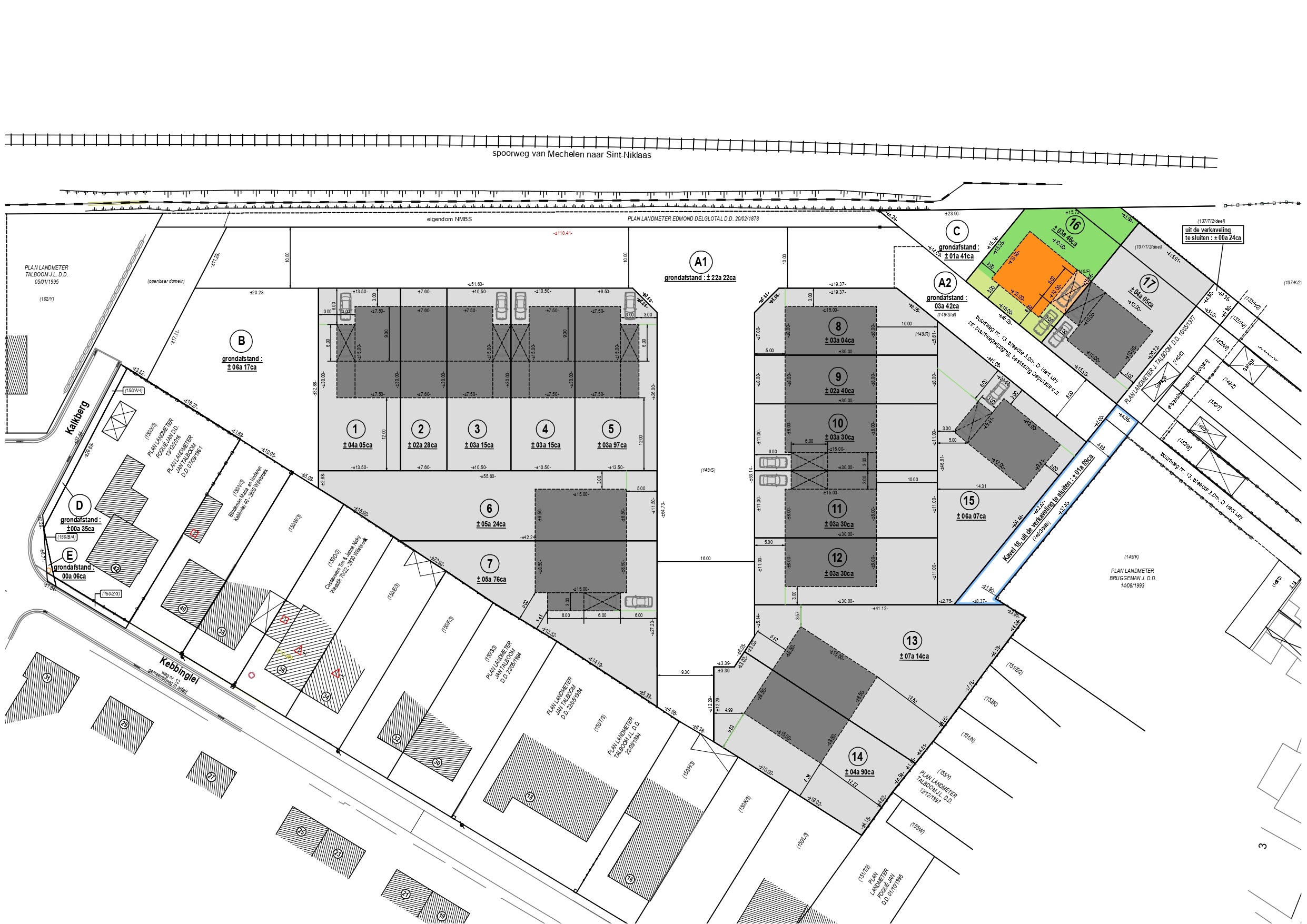
De bouwgrond is gelegen aan het einde van de nieuw aangelegde doodlopende straat. De verkaveling is te bereiken via de Kebbinglei, nabij het centrum van Blaasveld.
Oppervlakte van het perceel bedraagt 03a46ca. De maximale oppervlakte van de inplantingszone is 100m² (10m x 10m), met nog een extra volume van 21m² voor carport. bijgebouwen dienen een bouwvrrije afstand van 10m tot het spoorlichaam te vrijwaren. Verkavelingsvoorschriften in bijlage.